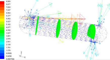
Phase Separation Technology Let’s review some important aspects of the interesting phase separation technology: The Role of Multiphase Separators Multiphase Separator Terminology The very first multiphase separator The wide variety of separator designs Phase Separation Zones Operating Pressures and Capacities Separator Internals Common Operational Difficulties CFD as a Separator Modeling Method CFD Simulation of Multiphase Separators The Role of Multiphase Separators Multiphase   separators   are   one   of   the   most   prevalent   unit   operations   in   any   chemical   process.   Once a   crude   oil   has   reached   the   surface,   the   main   purpose   of   the   surface   facilities   is   to   separate   the produced    multiphase    stream    into    its    vapor    and    liquid    fractions.    Multiphase    separators    are generally    the    first    process    equipment    in    an    oil    production    platform,    and    their    efficiency influences    the    performance    of    all    downstream    equipment,    such    as    heaters,    compressors,    and distillation   columns.   Thus,   oilfield   separators   play   a   key   role   in   the   production   capacity   of   entire facility,   and   a   properly   sized   primary   multiphase   separator   can   increase   the   capacity   of   the   entire facility. In   some   oilfields,   water   (brine)   is   not   produced   together   with   oil,   and   hence   only   the   gas   and   the oil   need   to   be   separated   (two-phase   separation).   However,   usually,   three-phase   separation   of   oil, water,   and   gas   is   required   in   order   to   prepare   the   produced   multiphase   fluid   for   downstream processing. Multiphase Separator Terminology Multiphase   separation   can   be   carried   out   through   various   oil   processing   equipment   with   the specific   terminology   corresponding   to   each   system.   Hence,   it   is   worth   defining   the   most   important multiphase    separators    in    the    oil    industry    before    proceeding.    The    conventional    oil    and    gas separator,   which   is   normally   installed   on   a   production   facility   or   platform,   may   be   referred   to   as “oil   and   gas   separator”,   “separator”,   “stage   separator”,   or   “trap”.   A   “knockout   vessel”   is   used   to remove   either   water   or   all   liquid   from   the   well   fluid   flow.   An   “expansion   vessel”   is   the   first   stage separator    vessel    usually    operated    at    a    low    temperature.   A    “flash    chamber”    or    “flash    vessel” normally   refers   to   a   conventional   oil   and   gas   separator   operated   at   low   pressure   as   the   second   or third   stage   of   the   multistage   separation.   A   “gas   scrubber”   is   an   oil   and   gas   separator   with   a   high gas   to   liquid   ratio.   In   a   “wet-type   gas   scrubber”,   dust,   rust,   and   other   impurities   of   the   gas   phase are   washed   using   a   bath   of   oil   or   other   liquid,   and   the   gas   flows   through   a   demister   to   further remove   liquid   droplets   from   the   gas   stream.   A   “dry-type   gas   scrubber”   or   “gas   filter”   is   equipped with   demisters   and   other   coalescing   media   to   aid   in   the   removal   of   most   of   the   liquid   from   a   gas stream. The very first multiphase separator The   original   phase   separator   was   inclined,   very   long,   and   without   any   internal   separating   aids. During    the    retention    time    (around    one    minute),    the    gas    and    oil    underwent    a    very    limited separation.   Sir   Stephen   Gibson   designed   this   simple   phase   separator   and   also   the   multi-stage separation   process.   He   was   the   first   to   put   this   process   into   operation   in   1930   at   the   Haft-Kel oilfield in Iran (Skelton, 1977). The wide variety of separator designs A   wide   variety   of   separator   designs   and   configurations   for   multiphase   separators   in   both   vertical and   horizontal   orientations   have   been   developed.   Various   parameters   such   as   space   and   operating restrictions,   oilfield   variations,   potential   contaminants,   and   economic   evaluations   are   considered in   the   design   of   a   multiphase   separation   system.   For   instance,   some   separators   may   be   equipped with   special   impingement   internals   to   aid   the   separation   process.   The   figure   below   shows   some different   common   designs   composed   of   “simple”,   “boot”,   “weir”,   and   “bucket   and   weir”.   These designs    offer    a    variety    of    methods    to    control    the    interface    level    in    horizontal    three-phase separators.   “Simple”   design   separator   can   easily   be   adjusted   to   handle   unexpected   changes   in   oil or   water   density   or   flow   rates   (Arnold   and   Stewart,   2008). A   boot,   typically,   is   used   when   the   water fraction   is   not   substantial   (less   than   15-20%   of   total   liquid   by   weight),   and   a   weir   is   used   if   the water   fraction   is   substantial   (Monnery   and   Svrcek,   1994).   The   bucket   and   weir   design   is   usually used    when    interface    level    control    is    difficult    either    in    heavy    oil    applications    or    because    of emulsions or paraffin problems (Arnold and Stewart, 2008).                                                                                               ( a )                                                                                                                                                                                                                                           ( b)                                            ( c)                                                                                        ( d) Different Common Designs of Horizontal Three-Phase Separators; (a) “Simple”, (b) “Boot”, (c) “Weir”, and (d) “Bucket and Weir”. Phase Separation Zones In   spite   of   the   variety   of   design   configurations   proposed   for   multiphase   separators,   the   phase separation   process   is   accomplished   in   three   zones:   The   first   zone,   primary   separation,   uses   an   inlet diverter   so   that   an   abrupt   change   in   flow   direction   and   velocity   causes   the   largest   liquid   droplets to   impinge   on   the   diverter   and   then   drop   by   gravity.   In   this   zone,   the   bulk   of   the   liquid   phase   is separated   from   the   gas   phase.   In   the   next   zone,   secondary   separation   zone,   gravity   separation   of fine   droplets   occurs   as   the   vapor   and   liquid   phases   flow   through   the   main   section   of   the   separator at   relatively   low   velocities   and   little   turbulence,   and   the   liquid   droplets   settle   out   of   the   gas   stream due   to   gravity.   The   liquid   collection   section   in   the   bottom   half   of   separator   provides   the   retention time    required    for    entrained    gas    bubbles    or    other    liquid    droplets    to    join    their    corresponding phases   because   of   gravity   and   buoyancy.   This   section   also   provides   the   holdup   and   surge   volumes for   safe   and   smooth   operation   of   the   separator.   Gas   flows   above   the   liquid   phase   while   entrained small   liquid   droplets   are   again   separated   by   gravity.   The   final   zone,   coalescing   media,   is   designed for   mist   elimination   in   which   very   fine   droplets   that   could   not   be   separated   in   the   gravity   settling zone   are   separated   by   passing   the   gas   stream   through   a   mist   eliminator.   In   this   zone,   vanes,   wire mesh   pad,   or   coalescing   plates   may   be   used   to   provide   an   impingement   surface   for   very   fine droplets to coalesce and form larger droplets which can be separated out of gas stream by gravity. Phase Separation Zones Operating Pressures and Capacities The   operating   pressure   of   separators   may   vary   from   a   high   vacuum   to   around   35   MPa   (Smith,   1987) and   their   capacities   may   range   from   a   few   hundred   barrels   per   day   to   100000   barrels   per   day   or more   (Skelton,   1977).   As   the   operating   pressure   of   a   separator   increases,   the   density   difference between   the   liquid   and   gas   phases   decreases.   Therefore,   it   is   desirable   to   operate   multiphase separators   at   as   low   a   pressure   as   is   consistent   with   other   process   conditions   and   requirements. Most multiphase separators operate in a pressure range of 138 kPa to 10340 kPa (Smith, 1987). Separator Internals The   modern   separator   designs   have   much   higher   capacities   than   the   original   type   and   are   very short   in   length   due   to   internals   such   as   inlet   diverters,   controls,   flow-distributing   baffles,   and   mist extractors    which    enhance    the    separator    efficiency.    A    “weir”    design    horizontal    three-phase separator   and   a   vertical   three-phase   separator,   both   with   the   installed   internals,   are   shown   in   the Figures   below.   As   shown,   both   separators   are   equipped   with   inlet   diverters,   controls,   wire   mesh demisters   and   pressure   relief   devices.   In   the   vertical   separator,   a   chimney   is   used   to   equalize   gas pressure   between   the   lower   and   upper   sections   of   the   vessel.   Important   common   internals   are explained as follows. “Weir” Design Horizontal Three-Phase Separator with the Installed Internals. Vertical Three-Phase Separator with the Installed Internals. Inlet Diverters Usually   a   deflector   baffle   or   a   cyclone   is   used   as   inlet   diverter   in   the   separator.   Deflector   baffles come   in   various   shapes   and   can   be   installed   at   different   angles.   However,   hemisphere   or   conical designs   are   preferred   because   they   cause   fewer   disturbances   than   plates   or   angle   iron   and   reduce re-entrainment    and    emulsion    problems    (Arnold    and    Stewart,    2008).    Cyclone    diverters    are increasingly   used   in   oil   production   facilities   as   they   promote   foam   breaking   and   mist   elimination while   performing   the   bulk   gas-liquid   separation   in   the   inlet   zone   (Chin   et   al.,   2002).   Hence, cyclone diverters can be used to increase the operating capacity of multiphase separators. Controls Separators   operate   at   a   predetermined   pressure   which   is   specified   by   economic   and   engineering studies.    The    fixed    operating    pressure    in    a    separator    is    achieved    by    using    an    automatic    back pressure   regulator   on   the   gas   outlet   line.   This   device   maintains   a   steady   operating   pressure   in   the vessel.   The   liquid   level   controllers   and   liquid   outlet   control   valves   are   used   to   maintain   constant oil   and   water   levels   in   the   separator.   Consequently,   the   operation   of   modern   separator   systems   is completely automatic. Mist Eliminators Droplets   with   diameters   of   100   micron   and   larger   will   generally   settle   out   of   the   gas   stream   in most   average-sized   separators.   However,   mist   eliminators   are   usually   required   to   remove   smaller droplets   from   the   gas   phase   (Smith,   1987).   As   95%   of   droplets   entrained   in   the   gas   stream   can   be separated    in    economically-sized    separators    without    coalescing    media,    the    efficiency    can    be increased   to   around   100%   by   installing   mist   eliminators   (Walas,   1990;   Sinnott,   1997;   Arnold   and Stewart,   2008).   These   coalescing   media   can   consist   of   a   series   of   vanes,   a   knitted   wire   mesh   pad,   or cyclonic   passages   to   remove   the   very   fine   droplets   from   the   gas   phase   by   impingement   on   a   large surface    area    where    they    collect    and    collide    with    adjacent    droplets.    The    mechanisms    used    in various    mist    eliminators    are    gravity    separation,    impingement,    change    in    flow    direction    and velocity,   centrifugal   force,   coalescence,   and   filtering   (Smith,   1987).   Mist   eliminators   can   be   of many different designs exploiting one or more of these mechanisms. The    wire    mesh    pads,    shown    below,    are    made    of    knitted    wire    mesh    and    are    installed    by    a lightweight   support   inside   separators.   Since   the   early   1950s,   the   wire   mesh   demisters   have   been used   in   natural   gas   processing   with   the   main   use   of   removing   fine   droplets   ranging   from   10   to   100 micron   in   diameter   from   the   gas   stream   (Smith,   1987).   Generally,   high   separation   efficiencies   at   a low   capital   and   maintenance   cost   are   experienced   from   using   standard   wire   mesh   demisters.   The pressure   drop   is   a   function   of   the   entrainment   load,   the   mesh   pad   design,   and   gas   velocity   but does   not   usually   exceed   295   Pa   (Lyons   and   Plisga,   2005).   Although   pad   thicknesses   up   to   0.9   m have   been   used,   a   pad   thickness   of   0.10   m   to   0.15   m   is   normally   sufficient   for   most   separator applications    (Gerunda,    1981;    Walas,    1990;    Lyons    and    Plisga,    2005).    However,    the    “fouling” tendency   of   wire   mesh   demisters   may   restrict   their   applications   to   gas   scrubbers   (Smith,   1987).   In fact,   knitted   wire   mesh   may   foul   or   plug   from   paraffin   deposition   and   other   impurities   and   thus reduce   separation   efficiency   dramatically   after   a   short   period   of   service.   In   such   cases,   vane-type or centrifugal demisters are used. Wire Mesh Pad Mist Eliminator. Vane-type   demisters,   shown   below,   are   widely   used   in   oil   and   gas   separators.   The   separation mechanisms   used   in   most   of   vane-type   demisters   are   impingement,   change   in   flow   direction   and velocity,   and   coalescence.   Vane-type   demisters   use   the   inertia   of   the   liquid   droplets   in   the   gas stream   to   collect   a   film   of   liquid   on   the   vane   surface.   Vane-type   demisters   are   inexpensive   and usually    will    not    plug    or    foul    with    paraffin    or    other    contaminants,    hence,    providing    a    good separation    performance    under    widely    changing    field    conditions    (Smith,    1987).    Pressure    drop across the vane-type demisters are very low, ranging from 250 Pa to 1 kPa (Smith, 1987).   Vane-Type Mist Eliminator. Common Operational Difficulties The   most   common   factors   which   can   reduce   separator   performance   are   very   high   or   very   low liquid    level,    level    control    failure,    improper    design,    damaged    vessel    internals,    foam,    vortex formation   in   liquid   outlet   zones,   plugged   liquid   outlets,   and   exceeding   the   design   capacity   of   the vessel (Arnold and Stewart, 2008). The    common    approaches    used    for    improving    the    separator    performance    in    difficult    cases,    as proposed   by   Blezard   et   al.   (2000),   are   increasing   droplet   size   of   dispersed   phase   (e.g.,   by   promoting coalescence),   inducing   a   high   acceleration   on   droplets   (e.g.,   by   using   centrifugal   force),   increasing the   difference   between   fluid   densities   (e.g.,   by   introducing   diluents),   and   decreasing   the   viscosity of   the   liquid   phases   (e.g.,   by   heating).   Some   of   these   approaches   may   be   combined   to   overcome   a difficult   separation   task.   In   the   following,   some   different   measures   taken   for   operating   foamy, emulsified, or contaminated crude oils are outlined. Foamy   crude   oils   hinder   liquid   level   control   and   also   reduce   the   separation   space   of   the   separator. To   improve   the   separator   performance,   it   is   usually   advantageous   to   inject   a   silicon   defoaming agent   into   the   foamy   oil   stream   (around   1x10 -6    m 3    for   1   m 3    of   oil)   before   it   enters   the   separator (Skelton,   1977).   This   agent   breaks   up   the   foam   and   keeps   oil   from   being   carried   over   by   the   gas phase,   leading   to   an   effective   increase   in   the   capacity   of   the   separator.   The   other   approaches   that assist   in   breaking   the   foam   are   settling,   baffling,   heat,   and   centrifugal   force   (Smith,   1987).   For separators   suffering   from   liquid   carryover   while   processing   foamy   crude   oils,   or   glycols,   amines, and   similar   materials   (with   high   foaming   tendency),   a   dual   mist   eliminator   system   composed   of   a vane-type   demister   at   a   lower   level   and   a   wire   mesh   pad   at   higher   level   with   a   gap   of   0.15   to   0.30   m between them is usually used (Lyons and Plisga, 2005). The   other   separation   difficulty   is   caused   by   thoroughly   emulsified   oil.   The   water   phase   enters   the bottom   of   the   producing   well   and   usually   breaks   up   into   fine   droplets   on   its   way   to   the   surface. These   fine   droplets   form   an   emulsion   with   the   oil   phase   which   can   lead   to   a   fully   emulsified phase.    Separation    of    the    thoroughly    emulsified    phase    is    extremely    difficult,    and    it    is    often recommended   that   as   much   of   the   water   as   possible   be   removed   at   the   well   head   (Skelton,   1977). This   treatment   is   done   by   processing   the   crude   oil   through   a   large   vessel   (long   retention   time) which   would   allow   the   larger   water   droplets   to   settle   out.   If   further   treatment   of   the   separated   oil phase   is   necessary,   the   oil   phase   may   be   heated   to   help   break   down   the   emulsion.   Usually,   a surface   tension   reducing   chemical   is   also   added   to   enhance   the   treatment.   Generally   the   combined application   of   heat   and   chemicals   is   sufficient   to   reduce   the   water   and,   consequently,   the   salt content   of   the   oil   phase   to   an   acceptable   level   (Skelton,   1977).   However,   sometimes   the   use   of   an electrical   coalescing   media   may   be   necessary   to   achieve   specification   level   of   oil   product.   In   this treatment   method,   the   oil-water   stream   is   exposed   to   an   electrical   field   which   agitates   the   water droplets   and   causes   them   to   collide   and   coalesce   into   larger   droplets   and   then   to   settle   out   of   the oil   phase.   The   resultant   water   concentration   in   the   effluent   oil   stream   is   usually   less   than   0.5% (Blezard et al., 2000). Another   emulsion   problem   is   experienced   when   some   very   fine   particles   cause   a   stabilized   rag layer   at   the   oil-water   interface.   In   order   for   the   separator   to   operate   properly,   the   rag   layer   must   be regularly   broken   or   removed.   For   this   purpose,   some   techniques   such   as   filtration,   heating,   and chemical injection are used (Hooper, 1997). Contaminated   crude   oils   are   also   difficult   to   process.   The   most   common   contaminants   are   sand, silt,   mud,   and   salt.   Medium-sized   sands   in   small   quantities   can   be   removed   by   an   oversized vertical   settler.   The   residue   should   be   removed   periodically   by   draining   from   the   vessel   bottom. Salt   may   be   removed   by   washing   the   oil   with   water   and   then   separating   the   salty   water   from   the oil phase. CFD as a Separator Modeling Method Computational    Fluid    Dynamics    (CFD)    is    inherently    connected    with    the    “fluid”    concept.    It    is interesting   that   this   “fluid”   concept   can   still   be   defined   as   Isaac   Newton   proposed   more   than   300 years   ago   in   the   following   elegant   way:   “A   fluid   is   any   body   whose   parts   yield   to   any   force impressed   on   it,   and   by   yielding,   are   easily   moved   among   themselves.”   The   physical   features   of any    fluid    flow    are    governed    by    three    fundamental    physical    principles:    mass    is    conserved, Newton’s   second   law   applies,   and   energy   is   conserved.   These   fundamental   physical   principles   can be   represented   in   terms   of   mathematical   equations,   generally   in   the   form   of   integral   equations   or partial   differential   equations.   Computational   fluid   dynamics   is   the   art   of   replacing   the   integrals   or the   partial   derivatives   in   these   equations   with   their   equivalent   discretized   algebraic   forms.   These discretized   algebraic   equations   are   then   solved   to   provide   numbers   for   the   flow   field   values   at discrete   points   in   time   and/or   space.   Therefore,   in   contrast   with   an   analytical   solution,   the   final product    of    a    CFD    modeling    is    a    collection    of    numbers.    CFD    solutions    generally    require    the iterative   manipulation   of   many   thousands,   even   millions,   of   numbers.   This   task   is   obviously impossible    without    the    aid    of    a    high-speed    digital    computer    which    accelerated    the    practical development    of    CFD.    The    historical    development    of    CFD,    as    reviewed    by    Anderson    (1995), indicates   that   before   1970,   there   was   no   CFD   in   the   way   that   we   think   of   it   today,   and   although there   was   CFD   in   1970,   the   storage   and   speed   capacity   of   computers   limited   all   practical   solutions essentially    to    two-dimensional    flow    problems.    However,    by    1990,    this    story    had    changed dramatically.   In   today’s   CFD   modeling   applications,   three-dimensional   flow   field   solutions   are abundant    and    such    solutions    are    becoming    more    and    more    prevalent    within    industry    and government   facilities.   Indeed,   some   computer   programs   for   the   calculation   of   three-dimensional flows   have   become   industry   standards,   resulting   in   their   use   as   a   tool   in   the   design   process.   In short,   CFD,   along   with   its   role   as   a   research   tool,   is   playing   an   increasingly   stronger   role   as   a design tool. The   high   storage   capacities   and   calculation   speed   of   present   computers   and   advanced   techniques devised   in   modern   CFD   solvers   have   culminated   in   today’s   common   use   of   commercial   software packages   for   CFD   simulation   of   industrial   equipment.   Currently,   CFD   software   packages   are routinely   used   to   modify   the   design   and   to   improve   the   operation   of   most   types   of   chemical process    equipment,    combustion    systems,    flow    measurement    and    control    systems,    material handling   equipment,   and   pollution   control   systems   (Shelley,   2007).   For   implementation   of   a   CFD simulation   using   a   commercial   software   package,   the   geometry   of   the   object   of   interest   is   specified (with   a   computer   aided   design   drawing   of   the   object)   and   the   corresponding   discretized   grid system    is    created    using    a    mesh-generation    tool.    For    mesh    generation,    present    software    tools provide   some   predefined   building   units   in   a   variety   of   forms   such   as   tetrahedral,   pyramidal, hexahedral,   and   recently,   polyhedral   blocks.   However,   generating   a   high   quality   mesh   for   the system   is   still   one   of   the   most   technical   and   time-consuming   phases   in   any   CFD   based   analysis. After   preparing   the   grid   system,   the   initial   and   boundary   conditions   of   the   problem   are   specified, and   the   CFD   parameters   are   set.   Finally,   the   CFD   software   proceeds   with   the   iterative   process   of solving   the   fundamental   equations   for   fluid   flow. As   noted,   once   a   converged   solution   is   achieved, CFD   simulation   output   is   a   collection   of   numbers   which   correspond   to   the   defined   points   in   space or   time.   In   order   to   visualize   these   CFD   simulation   results   and   obtain   qualitative   aspects   of   the system, the post-processing tool of CFD software is used. CFD   complements   the   approaches   of   pure   theory   and   pure   experiment   in   the   analysis   and   solution of   fluid   dynamic   problems.   Although   CFD   will   probably   never   completely   replace   either   of   these approaches,   it   helps   to   interpret   and   understand   the   results   of   theory   and   experiment.   It   should   be noted   that   suitable   problems   for   CFD   often   involve   predictions   outside   the   scope   of   published data,   where   experimental   studies   are   too   expensive   or   difficult   or   where   the   development   of   an insight   is   required   (Sharratt,   1990).   Therefore,   CFD   is   primarily   an   insight   tool   which   is   useful   for understanding   the   important   features   of   a   system   and   for   elucidating   and   solving   some   system uncertainties and problems. CFD Simulation of Multiphase Separators In   our   recent   research   project,   we   applied   Computational   Fluid   Dynamics   (CFD)   based   simulation to   model   multiphase   separators.   In   order   to   capture   both   macroscopic   and   microscopic   aspects   of multiphase    separation    phenomenon,    an    efficient    combination    of    two    multiphase    models    was used.   The   Volume   of   Fluid   (VOF)   model   was   used   to   simulate   the   phase   behavior   and   fluid   flow patterns,   and   the   Discrete   Phase   Model   (DPM)   was   used   to   model   the   movement   of   fluid   droplets injected    at    the    separator    inlet.    The    “particle    tracking”    based    simulation    of    the    multiphase separation   process   was   the   key   aspect   of   this   research   project,   and   the   developed   model   did provide high-quality visualization of multiphase separation process. The   research   project   involved   the   CFD   simulation   of   four   pilot-plant-scale   two-phase   separators and   one   industrial   scale   three-phase   separator,   including   all   the   installed   internals.   The   figures below   show   some   of   the   produced   fluid   flow   profiles   for   the   large-scale   three-phase   separator. There   was   excellent   agreement   between   simulated   phase   separation   behavior   and   the   empirical observations and data gleaned from the pilot plant. Contours of Density (kg/m 3 ) in the Middle of a Large-Scale Three-Phase Separator. Contours of Pressure (Pa) in the Middle of a Large-Scale Three-Phase Separator. Vectors of Velocity (m/s) in the Middle of a Large-Scale Three-Phase Separator. The   research   project   also   evaluated   the   classic   separator   design   methodologies   using   detailed   CFD based    simulations,    and    proposed    improved    design    criteria.    In    order    to    specify    an    effective optimum   separator,   a   useful   method   was   developed   for   estimation   of   the   droplet   sizes   used   to calculate    realistic    separation    velocities    for    various    oilfield    conditions.    The    most    important parameters   affecting   these   efficient   droplet   sizes   were   the   vapor   density   and   the   oil   viscosity.   In contrast    with    classic    design    strategies,    the    CFD    simulation    results    showed    that    additional residence    times    are    required    for    droplets    to    penetrate    through    the    interfaces.    Moreover,    the Abraham    equation    should    be    used    instead    of    Stokes’    law    in    the    liquid-liquid    separation calculations.   The   velocity   constraints   caused   by   re-entrainment   in   horizontal   separators   were   also studied   via   comprehensive   CFD   simulations,   and   led   to   novel   correlations   for   the   re-entrainment phenomenon.   Hence,   this   research   project   showed   the   benefits   that   CFD   analyses   can   provide   in optimizing   the   design   of   new   separators   and   solving   problems   with   existing   designs.   For   more information, here  you find a complete and colourful Kindle version of this interesting PhD thesis. References: Anderson, J.D., “Computational Fluid Dynamics, The Basics with Applications”, McGraw-Hill, 1995. Arnold, K., Stewart, M., “Surface Production Operations”, 3 rd  Edition, Elsevier, 2008. Blezard, R.G., Bradburn, J., Clark, J.G., Cohen, D.H., Costaschuk, D., Downie, A.A., Fowler, P., Hassoun, L., Hunt, A.P., Kirton, D., Knight, F.I., Lach, J.R., Law, E.J., McDonald, P.A., Morrison, A.K., Cairney, J.M., Naik, H., Sutton, W.J.E., Thompson, P., “Production Engineering”, in “Modern Petroleum Technology”, R.A. Dawe (Ed.), 6 th  Edition, Vol. 1, Institution of Petroleum, John Wiley & Sons, 2000. Chin, R.W., Stanbridge, D.I., Schook, R., “Increasing Separation Capacity with New and Proven Technologies”, Society of Petroleum Engineers, SPE-77495, 2002, 1-6. Gerunda, A., “How to Size Liquid-Vapor Separators”, Chemical Engineering, May 4, 1981, 81-84. Hooper, W.B., “Decantation”, Section 1.11 in “Handbook of Separation Techniques for Chemical Engineers”, Ph.A. Schweitzer (Ed.), 3 rd  Edition, McGraw-Hill, 1997. Lyons, W.C., Plisga, G.J. (Editors), “Standard Handbook of Petroleum and Natural Gas Engineering”, Volume 2, Gulf Professional Publishing, 2005. Monnery, W.D., Svrcek, W.Y., “Successfully Specify Three-Phase Separators”, Chem. Eng. Progress, September, 1994, 29-40. Pourahmadi Laleh, A., "CFD Simulation of Multiphase Separators", PhD Thesis, University of Calgary, Calgary, Canada, 2010. Sharratt, P.N., “Computational Fluid Dynamics and its Application in the Process Industries”, Trans IChemE, 68-A, January, 1990, 13-18. Shelley, S., “Computational Fluid Dynamics – Power to the People”, Chem. Eng. Progress, 103(4), April, 2007, 10-13. Sinnott, R.K., “Chemical Engineering Design” in “Coulson & Richardson’s Chemical Engineering”, 2 nd  Edition, Butterworth-Heinemann, 1997. Skelton, G.F., “Production”, in “Our Industry Petroleum”, Stockil, P.A. (Ed.), British Petroleum Company Limited, 1977. Smith, H.V., “Oil and Gas Separators”, in “Petroleum Engineering Handbook”, Bradley, H.B. (Ed), Society of Petroleum Engineers, 1987. Walas, S.M., “Process Vessels”, Chapter 18 in “Chemical Process Equipment Selection and Design”, Butterworth-Heinemann, 1990.
salvasolution.com  2017-2024 by Dr. Ali P. Laleh                                    All rights reserved. Bio & Biblio
Phase Separation Technology Let’s   review   some   important   aspects   of   the   interesting   phase separation technology: The Role of Multiphase Separators Multiphase Separator Terminology The very first multiphase separator The wide variety of separator designs Phase Separation Zones Operating Pressures and Capacities Separator Internals Common Operational Difficulties CFD as a Separator Modeling Method CFD Simulation of Multiphase Separators The Role of Multiphase Separators Multiphase    separators    are    one    of    the    most    prevalent    unit operations   in   any   chemical   process.   Once   a   crude   oil   has reached     the     surface,     the     main     purpose     of     the     surface facilities   is   to   separate   the   produced   multiphase   stream   into its    vapor    and    liquid    fractions.    Multiphase    separators    are generally   the   first   process   equipment   in   an   oil   production platform,   and   their   efficiency   influences   the   performance   of all    downstream    equipment,    such    as    heaters,    compressors, and   distillation   columns.   Thus,   oilfield   separators   play   a   key role    in    the    production    capacity    of    entire    facility,    and    a properly    sized    primary    multiphase    separator    can    increase the capacity of the entire facility. In    some    oilfields,    water    (brine)    is    not    produced    together with    oil,    and    hence    only    the    gas    and    the    oil    need    to    be separated   (two-phase   separation).   However,   usually,   three- phase   separation   of   oil,   water,   and   gas   is   required   in   order   to prepare    the    produced    multiphase    fluid    for    downstream processing. Multiphase Separator Terminology Multiphase   separation   can   be   carried   out   through   various   oil processing      equipment      with      the      specific      terminology corresponding   to   each   system.   Hence,   it   is   worth   defining the   most   important   multiphase   separators   in   the   oil   industry before   proceeding.   The   conventional   oil   and   gas   separator, which    is    normally    installed    on    a    production    facility    or platform,    may    be    referred    to    as    “oil    and    gas    separator”, “separator”,     “stage     separator”,     or     “trap”.     A     “knockout vessel”   is   used   to   remove   either   water   or   all   liquid   from   the well    fluid    flow.    An    “expansion    vessel”    is    the    first    stage separator   vessel   usually   operated   at   a   low   temperature.   A “flash    chamber”    or    “flash    vessel”    normally    refers    to    a conventional   oil   and   gas   separator   operated   at   low   pressure as   the   second   or   third   stage   of   the   multistage   separation.   A “gas   scrubber”   is   an   oil   and   gas   separator   with   a   high   gas   to liquid   ratio.   In   a   “wet-type   gas   scrubber”,   dust,   rust,   and other   impurities   of   the   gas   phase   are   washed   using   a   bath   of oil   or   other   liquid,   and   the   gas   flows   through   a   demister   to further   remove   liquid   droplets   from   the   gas   stream.   A   “dry- type   gas   scrubber”   or   “gas   filter”   is   equipped   with   demisters and   other   coalescing   media   to   aid   in   the   removal   of   most   of the liquid from a gas stream. The very first multiphase separator The   original   phase   separator   was   inclined,   very   long,   and without   any   internal   separating   aids.   During   the   retention time   (around   one   minute),   the   gas   and   oil   underwent   a   very limited   separation.   Sir   Stephen   Gibson   designed   this   simple phase   separator   and   also   the   multi-stage   separation   process. He   was   the   first   to   put   this   process   into   operation   in   1930   at the Haft-Kel oilfield in Iran (Skelton, 1977). The wide variety of separator designs A   wide   variety   of   separator   designs   and   configurations   for multiphase     separators     in     both     vertical     and     horizontal orientations   have   been   developed.   Various   parameters   such as     space     and     operating     restrictions,     oilfield     variations, potential     contaminants,     and     economic     evaluations     are considered   in   the   design   of   a   multiphase   separation   system. For   instance,   some   separators   may   be   equipped   with   special impingement    internals    to    aid    the    separation    process.    The figure     below     shows     some     different     common     designs composed    of    “simple”,    “boot”,    “weir”,    and    “bucket    and weir”.   These   designs   offer   a   variety   of   methods   to   control the    interface    level    in    horizontal    three-phase    separators. “Simple”   design   separator   can   easily   be   adjusted   to   handle unexpected    changes    in    oil    or    water    density    or    flow    rates (Arnold   and   Stewart,   2008).   A   boot,   typically,   is   used   when the   water   fraction   is   not   substantial   (less   than   15-20%   of   total liquid   by   weight),   and   a   weir   is   used   if   the   water   fraction   is substantial    (Monnery    and    Svrcek,    1994).    The    bucket    and weir   design   is   usually   used   when   interface   level   control   is difficult    either    in    heavy    oil    applications    or    because    of emulsions or paraffin problems (Arnold and Stewart, 2008 ). (a)                                                                                                                                                                                                                                                                                                                                                                                                                                       (b) ( c ) (d) Different Common Designs of Horizontal Three-Phase Separators;  (a) “Simple”, (b) “Boot”, (c) “Weir”, and (d) “Bucket and Weir”. Phase Separation Zones In   spite   of   the   variety   of   design   configurations   proposed   for multiphase     separators,     the     phase     separation     process     is accomplished     in     three     zones:     The     first     zone,     primary separation,   uses   an   inlet   diverter   so   that   an   abrupt   change   in flow   direction   and   velocity   causes   the   largest   liquid   droplets to   impinge   on   the   diverter   and   then   drop   by   gravity.   In   this zone,   the   bulk   of   the   liquid   phase   is   separated   from   the   gas phase.   In   the   next   zone,   secondary   separation   zone,   gravity separation   of   fine   droplets   occurs   as   the   vapor   and   liquid phases   flow   through   the   main   section   of   the   separator   at relatively   low   velocities   and   little   turbulence,   and   the   liquid droplets    settle    out    of    the    gas    stream    due    to    gravity.    The liquid    collection    section    in    the    bottom    half    of    separator provides    the    retention    time    required    for    entrained    gas bubbles   or   other   liquid   droplets   to   join   their   corresponding phases   because   of   gravity   and   buoyancy.   This   section   also provides   the   holdup   and   surge   volumes   for   safe   and   smooth operation   of   the   separator.   Gas   flows   above   the   liquid   phase while   entrained   small   liquid   droplets   are   again   separated   by gravity.   The   final   zone,   coalescing   media,   is   designed   for mist   elimination   in   which   very   fine   droplets   that   could   not be   separated   in   the   gravity   settling   zone   are   separated   by passing   the   gas   stream   through   a   mist   eliminator.   In   this zone,    vanes,    wire    mesh    pad,    or    coalescing    plates    may    be used    to    provide    an    impingement    surface    for    very    fine droplets   to   coalesce   and   form   larger   droplets   which   can   be separated out of gas stream by gravity. Phase Separation Zones Operating Pressures and Capacities The   operating   pressure   of   separators   may   vary   from   a   high vacuum   to   around   35   MPa   (Smith,   1987)   and   their   capacities may   range   from   a   few   hundred   barrels   per   day   to   100000 barrels   per   day   or   more   (Skelton,   1977).   As   the   operating pressure    of    a    separator    increases,    the    density    difference between   the   liquid   and   gas   phases   decreases.   Therefore,   it   is desirable    to    operate    multiphase    separators    at    as    low    a pressure   as   is   consistent   with   other   process   conditions   and requirements.    Most    multiphase    separators    operate    in    a pressure range of 138 kPa to 10340 kPa (Smith, 1987). Separator Internals The   modern   separator   designs   have   much   higher   capacities than   the   original   type   and   are   very   short   in   length   due   to internals   such   as   inlet   diverters,   controls,   flow-distributing baffles,    and    mist    extractors    which    enhance    the    separator efficiency.   A   “weir”   design   horizontal   three-phase   separator and   a   vertical   three-phase   separator,   both   with   the   installed internals,   are   shown   in   the   Figures   below.   As   shown,   both separators   are   equipped   with   inlet   diverters,   controls,   wire mesh   demisters   and   pressure   relief   devices.   In   the   vertical separator,    a    chimney    is    used    to    equalize    gas    pressure between     the     lower     and     upper     sections     of     the     vessel. Important common internals are explained as follows. “Weir” Design Horizontal Three-Phase Separator with the Installed Internals. Vertical Three-Phase Separator with the Installed Internals. Inlet Diverters Usually    a    deflector    baffle    or    a    cyclone    is    used    as    inlet diverter   in   the   separator.   Deflector   baffles   come   in   various shapes   and   can   be   installed   at   different   angles.   However, hemisphere   or   conical   designs   are   preferred   because   they cause    fewer    disturbances    than    plates    or    angle    iron    and reduce   re-entrainment   and   emulsion   problems   (Arnold   and Stewart,   2008).   Cyclone   diverters   are   increasingly   used   in   oil production    facilities    as    they    promote    foam    breaking    and mist    elimination    while    performing    the    bulk    gas-liquid separation    in    the    inlet    zone    (Chin    et    al.,    2002).    Hence, cyclone    diverters    can    be    used    to    increase    the    operating capacity of multiphase separators. Controls Separators    operate    at    a    predetermined    pressure    which    is specified   by   economic   and   engineering   studies.   The   fixed operating   pressure   in   a   separator   is   achieved   by   using   an automatic    back    pressure    regulator    on    the    gas    outlet    line. This    device    maintains    a    steady    operating    pressure    in    the vessel.   The   liquid   level   controllers   and   liquid   outlet   control valves   are   used   to   maintain   constant   oil   and   water   levels   in the     separator.     Consequently,     the     operation     of     modern separator systems is completely automatic. Mist Eliminators Droplets    with    diameters    of    100    micron    and    larger    will generally   settle   out   of   the   gas   stream   in   most   average-sized separators.   However,   mist   eliminators   are   usually   required to   remove   smaller   droplets   from   the   gas   phase   (Smith,   1987). As    95%    of    droplets    entrained    in    the    gas    stream    can    be separated       in       economically-sized       separators       without coalescing   media,   the   efficiency   can   be   increased   to   around 100%   by   installing   mist   eliminators   (Walas,   1990;   Sinnott, 1997;   Arnold   and   Stewart,   2008).   These   coalescing   media   can consist    of    a    series    of    vanes,    a    knitted    wire    mesh    pad,    or cyclonic   passages   to   remove   the   very   fine   droplets   from   the gas   phase   by   impingement   on   a   large   surface   area   where they     collect     and     collide     with     adjacent     droplets.     The mechanisms    used    in    various    mist    eliminators    are    gravity separation,    impingement,    change    in    flow    direction    and velocity,   centrifugal   force,   coalescence,   and   filtering   (Smith, 1987).    Mist    eliminators    can    be    of    many    different    designs exploiting one or more of these mechanisms. The   wire   mesh   pads,   shown   below,   are   made   of   knitted   wire mesh    and    are    installed    by    a    lightweight    support    inside separators.   Since   the   early   1950s,   the   wire   mesh   demisters have   been   used   in   natural   gas   processing   with   the   main   use of   removing   fine   droplets   ranging   from   10   to   100   micron   in diameter   from   the   gas   stream   (Smith,   1987).   Generally,   high separation   efficiencies   at   a   low   capital   and   maintenance   cost are   experienced   from   using   standard   wire   mesh   demisters. The   pressure   drop   is   a   function   of   the   entrainment   load,   the mesh    pad    design,    and    gas    velocity    but    does    not    usually exceed    295    Pa    (Lyons    and    Plisga,    2005).    Although    pad thicknesses   up   to   0.9   m   have   been   used,   a   pad   thickness   of 0.10   m   to   0.15   m   is   normally   sufficient   for   most   separator applications   (Gerunda,   1981;   Walas,   1990;   Lyons   and   Plisga, 2005).     However,     the     “fouling”     tendency     of     wire     mesh demisters    may    restrict    their    applications    to    gas    scrubbers (Smith,   1987).   In   fact,   knitted   wire   mesh   may   foul   or   plug from    paraffin    deposition    and    other    impurities    and    thus reduce   separation   efficiency   dramatically   after   a   short   period of   service.   In   such   cases,   vane-type   or   centrifugal   demisters are used. Wire Mesh Pad Mist Eliminator. Vane-type   demisters,   shown   below,   are   widely   used   in   oil and   gas   separators.   The   separation   mechanisms   used   in   most of    vane-type    demisters    are    impingement,    change    in    flow direction   and   velocity,   and   coalescence.   Vane-type   demisters use   the   inertia   of   the   liquid   droplets   in   the   gas   stream   to collect    a    film    of    liquid    on    the    vane    surface.    Vane-type demisters   are   inexpensive   and   usually   will   not   plug   or   foul with    paraffin    or    other    contaminants,    hence,    providing    a good   separation   performance   under   widely   changing   field conditions   (Smith,   1987).   Pressure   drop   across   the   vane-type demisters   are   very   low,   ranging   from   250   Pa   to   1   kPa   (Smith, 1987).   Vane-Type Mist Eliminator. Common Operational Difficulties The    most    common    factors    which    can    reduce    separator performance   are   very   high   or   very   low   liquid   level,   level control   failure,   improper   design,   damaged   vessel   internals, foam,    vortex    formation    in    liquid    outlet    zones,    plugged liquid    outlets,    and    exceeding    the    design    capacity    of    the vessel (Arnold and Stewart, 2008). The   common   approaches   used   for   improving   the   separator performance   in   difficult   cases,   as   proposed   by   Blezard   et   al. (2000),   are   increasing   droplet   size   of   dispersed   phase   (e.g.,   by promoting    coalescence),    inducing    a    high    acceleration    on droplets    (e.g.,    by    using    centrifugal    force),    increasing    the difference    between    fluid    densities    (e.g.,    by    introducing diluents),   and   decreasing   the   viscosity   of   the   liquid   phases (e.g.,     by     heating).     Some     of     these     approaches     may     be combined    to    overcome    a    difficult    separation    task.    In    the following,    some    different    measures    taken    for    operating foamy, emulsified, or contaminated crude oils are outlined. Foamy   crude   oils   hinder   liquid   level   control   and   also   reduce the    separation    space    of    the    separator.    To    improve    the separator   performance,   it   is   usually   advantageous   to   inject   a silicon   defoaming   agent   into   the   foamy   oil   stream   (around 1x10 -6     m 3     for    1    m 3     of    oil)    before    it    enters    the    separator (Skelton,   1977).   This   agent   breaks   up   the   foam   and   keeps   oil from    being    carried    over    by    the    gas    phase,    leading    to    an effective   increase   in   the   capacity   of   the   separator.   The   other approaches    that    assist    in    breaking    the    foam    are    settling, baffling,    heat,    and    centrifugal    force    (Smith,    1987).    For separators   suffering   from   liquid   carryover   while   processing foamy   crude   oils,   or   glycols,   amines,   and   similar   materials (with   high   foaming   tendency),   a   dual   mist   eliminator   system composed   of   a   vane-type   demister   at   a   lower   level   and   a   wire mesh    pad    at    higher    level    with    a    gap    of    0.15    to    0.30    m between them is usually used (Lyons and Plisga, 2005). The    other    separation    difficulty    is    caused    by    thoroughly emulsified    oil.    The    water    phase    enters    the    bottom    of    the producing   well   and   usually   breaks   up   into   fine   droplets   on its   way   to   the   surface.   These   fine   droplets   form   an   emulsion with    the    oil    phase    which    can    lead    to    a    fully    emulsified phase.    Separation    of    the    thoroughly    emulsified    phase    is extremely    difficult,    and    it    is    often    recommended    that    as much   of   the   water   as   possible   be   removed   at   the   well   head (Skelton,    1977).    This    treatment    is    done    by    processing    the crude   oil   through   a   large   vessel   (long   retention   time)   which would   allow   the   larger   water   droplets   to   settle   out.   If   further treatment    of    the    separated    oil    phase    is    necessary,    the    oil phase    may    be    heated    to    help    break    down    the    emulsion. Usually,   a   surface   tension   reducing   chemical   is   also   added   to enhance   the   treatment.   Generally   the   combined   application of   heat   and   chemicals   is   sufficient   to   reduce   the   water   and, consequently,    the    salt    content    of    the    oil    phase    to    an acceptable   level   (Skelton,   1977).   However,   sometimes   the   use of   an   electrical   coalescing   media   may   be   necessary   to   achieve specification   level   of   oil   product.   In   this   treatment   method, the   oil-water   stream   is   exposed   to   an   electrical   field   which agitates   the   water   droplets   and   causes   them   to   collide   and coalesce   into   larger   droplets   and   then   to   settle   out   of   the   oil phase.   The   resultant   water   concentration   in   the   effluent   oil stream is usually less than 0.5% (Blezard et al., 2000). Another   emulsion   problem   is   experienced   when   some   very fine    particles    cause    a    stabilized    rag    layer    at    the    oil-water interface.   In   order   for   the   separator   to   operate   properly,   the rag    layer    must    be    regularly    broken    or    removed.    For    this purpose,    some    techniques    such    as    filtration,    heating,    and chemical injection are used (Hooper, 1997). Contaminated   crude   oils   are   also   difficult   to   process.   The most    common    contaminants    are    sand,    silt,    mud,    and    salt. Medium-sized   sands   in   small   quantities   can   be   removed   by an   oversized   vertical   settler.   The   residue   should   be   removed periodically   by   draining   from   the   vessel   bottom.   Salt   may   be removed   by   washing   the   oil   with   water   and   then   separating the salty water from the oil phase. CFD as a Separator Modeling Method Computational      Fluid      Dynamics      (CFD)      is      inherently connected   with   the   “fluid”   concept.   It   is   interesting   that   this “fluid”     concept     can     still     be     defined     as     Isaac     Newton proposed   more   than   300   years   ago   in   the   following   elegant way:   “A   fluid   is   any   body   whose   parts   yield   to   any   force impressed   on   it,   and   by   yielding,   are   easily   moved   among themselves.”    The    physical    features    of    any    fluid    flow    are governed   by   three   fundamental   physical   principles:   mass   is conserved,    Newton’s    second    law    applies,    and    energy    is conserved.    These    fundamental    physical    principles    can    be represented   in   terms   of   mathematical   equations,   generally   in the     form     of     integral     equations     or     partial     differential equations.    Computational    fluid    dynamics    is    the    art    of replacing    the    integrals    or    the    partial    derivatives    in    these equations   with   their   equivalent   discretized   algebraic   forms. These    discretized    algebraic    equations    are    then    solved    to provide   numbers   for   the   flow   field   values   at   discrete   points in     time     and/or     space.     Therefore,     in     contrast     with     an analytical   solution,   the   final   product   of   a   CFD   modeling   is   a collection   of   numbers.   CFD   solutions   generally   require   the iterative   manipulation   of   many   thousands,   even   millions,   of numbers.   This   task   is   obviously   impossible   without   the   aid of    a    high-speed    digital    computer    which    accelerated    the practical   development   of   CFD.   The   historical   development of    CFD,    as    reviewed    by    Anderson    (1995),    indicates    that before   1970,   there   was   no   CFD   in   the   way   that   we   think   of   it today,   and   although   there   was   CFD   in   1970,   the   storage   and speed   capacity   of   computers   limited   all   practical   solutions essentially   to   two-dimensional   flow   problems.   However,   by 1990,   this   story   had   changed   dramatically.   In   today’s   CFD modeling      applications,      three-dimensional      flow      field solutions    are    abundant    and    such    solutions    are    becoming more   and   more   prevalent   within   industry   and   government facilities.      Indeed,      some      computer      programs      for      the calculation      of      three-dimensional      flows      have      become industry   standards,   resulting   in   their   use   as   a   tool   in   the design    process.    In    short,    CFD,    along    with    its    role    as    a research   tool,   is   playing   an   increasingly   stronger   role   as   a design tool. The   high   storage   capacities   and   calculation   speed   of   present computers   and   advanced   techniques   devised   in   modern   CFD solvers     have     culminated     in     today’s     common     use     of commercial     software     packages     for     CFD     simulation     of industrial   equipment.   Currently,   CFD   software   packages   are routinely    used    to    modify    the    design    and    to    improve    the operation    of    most    types    of    chemical    process    equipment, combustion      systems,      flow      measurement      and      control systems,   material   handling   equipment,   and   pollution   control systems    (Shelley,    2007).    For    implementation    of    a    CFD simulation     using     a     commercial     software     package,     the geometry    of    the    object    of    interest    is    specified    (with    a computer    aided    design    drawing    of    the    object)    and    the corresponding    discretized    grid    system    is    created    using    a mesh-generation   tool.   For   mesh   generation,   present   software tools   provide   some   predefined   building   units   in   a   variety   of forms     such     as     tetrahedral,     pyramidal,     hexahedral,     and recently,    polyhedral    blocks.    However,    generating    a    high quality   mesh   for   the   system   is   still   one   of   the   most   technical and    time-consuming    phases    in    any    CFD    based    analysis. After   preparing   the   grid   system,   the   initial   and   boundary conditions    of    the    problem    are    specified,    and    the    CFD parameters   are   set.   Finally,   the   CFD   software   proceeds   with the   iterative   process   of   solving   the   fundamental   equations for    fluid    flow.    As    noted,    once    a    converged    solution    is achieved,   CFD   simulation   output   is   a   collection   of   numbers which   correspond   to   the   defined   points   in   space   or   time.   In order   to   visualize   these   CFD   simulation   results   and   obtain qualitative   aspects   of   the   system,   the   post-processing   tool   of CFD software is used. CFD   complements   the   approaches   of   pure   theory   and   pure experiment   in   the   analysis   and   solution   of   fluid   dynamic problems.   Although    CFD    will    probably    never    completely replace   either   of   these   approaches,   it   helps   to   interpret   and understand   the   results   of   theory   and   experiment.   It   should be    noted    that    suitable    problems    for    CFD    often    involve predictions    outside    the    scope    of    published    data,    where experimental   studies   are   too   expensive   or   difficult   or   where the   development   of   an   insight   is   required   (Sharratt,   1990). Therefore,   CFD   is   primarily   an   insight   tool   which   is   useful for   understanding   the   important   features   of   a   system   and   for elucidating    and    solving    some    system    uncertainties    and problems. CFD Simulation of Multiphase Separators In    our    recent    research    project,    we    applied    Computational Fluid      Dynamics      (CFD)      based      simulation      to      model multiphase   separators.   In   order   to   capture   both   macroscopic and       microscopic       aspects       of       multiphase       separation phenomenon,   an   efficient   combination   of   two   multiphase models   was   used.   The   Volume   of   Fluid   (VOF)   model   was used   to   simulate   the   phase   behavior   and   fluid   flow   patterns, and   the   Discrete   Phase   Model   (DPM)   was   used   to   model   the movement   of   fluid   droplets   injected   at   the   separator   inlet. The   “particle   tracking”   based   simulation   of   the   multiphase separation    process    was    the    key    aspect    of    this    research project,   and   the   developed   model   did   provide   high-quality visualization of multiphase separation process. The   research   project   involved   the   CFD   simulation   of   four pilot-plant-scale    two-phase    separators    and    one    industrial scale     three-phase     separator,     including     all     the     installed internals.    The    figures    below    show    some    of    the    produced fluid   flow   profiles   for   the   large-scale   three-phase   separator. There    was    excellent    agreement    between    simulated    phase separation   behavior   and   the   empirical   observations   and   data gleaned from the pilot plant. Contours of Density (kg/m 3 ) in the Middle of a Large-Scale Three-Phase Separator. Contours of Pressure (Pa) in the Middle of a Large-Scale Three-Phase Separator. Vectors of Velocity (m/s) in the Middle of a Large-Scale Three-Phase Separator. The    research    project    also    evaluated    the    classic    separator design       methodologies       using       detailed       CFD       based simulations,   and   proposed   improved   design   criteria.   In   order to   specify   an   effective   optimum   separator,   a   useful   method was   developed   for   estimation   of   the   droplet   sizes   used   to calculate    realistic    separation    velocities    for    various    oilfield conditions.   The   most   important   parameters   affecting   these efficient   droplet   sizes   were   the   vapor   density   and   the   oil viscosity.   In   contrast   with   classic   design   strategies,   the   CFD simulation   results   showed   that   additional   residence   times are   required   for   droplets   to   penetrate   through   the   interfaces. Moreover,   the   Abraham   equation   should   be   used   instead   of Stokes’   law   in   the   liquid-liquid   separation   calculations.   The velocity   constraints   caused   by   re-entrainment   in   horizontal separators     were     also     studied     via     comprehensive     CFD simulations,     and     led     to     novel     correlations     for     the     re- entrainment     phenomenon.     Hence,     this     research     project showed    the    benefits    that    CFD    analyses    can    provide    in optimizing     the     design     of     new     separators     and     solving problems with existing designs. For     more     information,     here      you     find     a     complete     and colourful Kindle version of this interesting PhD thesis. References: Anderson, J.D., “Computational Fluid Dynamics, The Basics with Applications”, McGraw-Hill, 1995. Arnold, K., Stewart, M., “Surface Production Operations”, 3 rd   Edition, Elsevier, 2008. Blezard, R.G., Bradburn, J., Clark, J.G., Cohen, D.H., Costaschuk, D., Downie, A.A., Fowler, P., Hassoun, L., Hunt, A.P., Kirton, D., Knight, F.I., Lach, J.R., Law, E.J., McDonald, P.A., Morrison, A.K., Cairney, J.M., Naik, H., Sutton, W.J.E., Thompson, P., “Production Engineering”, in “Modern Petroleum Technology”, R.A. Dawe (Ed.), 6 th  Edition, Vol. 1, Institution of Petroleum, John Wiley & Sons, 2000. Chin, R.W., Stanbridge, D.I., Schook, R., “Increasing Separation Capacity with New and Proven Technologies”, Society of Petroleum Engineers, SPE-77495, 2002, 1-6. Gerunda, A., “How to Size Liquid-Vapor Separators”, Chemical Engineering, May 4, 1981, 81-84. Hooper, W.B., “Decantation”, Section 1.11 in “Handbook of Separation Techniques for Chemical Engineers”, Ph.A. Schweitzer (Ed.), 3 rd  Edition, McGraw-Hill, 1997. Lyons, W.C., Plisga, G.J. (Editors), “Standard Handbook of Petroleum and Natural Gas Engineering”, Volume 2, Gulf Professional Publishing, 2005. Monnery, W.D., Svrcek, W.Y., “Successfully Specify Three- Phase Separators”, Chem. Eng. Progress, September, 1994, 29-40. Pourahmadi Laleh, A., "CFD Simulation of Multiphase Separators", PhD Thesis, University of Calgary, Calgary, Canada, 2010. Sharratt, P.N., “Computational Fluid Dynamics and its Application in the Process Industries”, Trans IChemE, 68-A, January, 1990, 13-18. Shelley, S., “Computational Fluid Dynamics – Power to the People”, Chem. Eng. Progress, 103(4), April, 2007, 10-13. Sinnott, R.K., “Chemical Engineering Design” in “Coulson & Richardson’s Chemical Engineering”, 2 nd  Edition, Butterworth-Heinemann, 1997. Skelton, G.F., “Production”, in “Our Industry Petroleum”, Stockil, P.A. (Ed.), British Petroleum Company Limited, 1977. Smith, H.V., “Oil and Gas Separators”, in “Petroleum Engineering Handbook”, Bradley, H.B. (Ed), Society of Petroleum Engineers, 1987. Walas, S.M., “Process Vessels”, Chapter 18 in “Chemical Process Equipment Selection and Design”, Butterworth- Heinemann, 1990.
salvasolution.com  2017-2024 by Dr. Ali P. Laleh             All rights reserved.